













金沢工業大学徒歩圏内! アパート用地などにも最適!
こだわり設備・特徴
物件詳細情報
物件種別 | 売土地 | 接道状況 | 西側 北側 |
---|---|---|---|
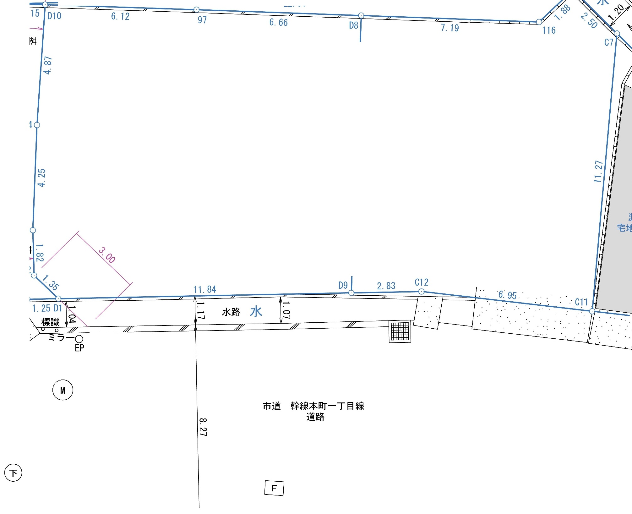
敷地面積 | 264.26㎡(79.93坪) | ||
延床面積 | セットバック | ||
その他 | 現況渡し | 駐車台数 | 3台以上 |
構造 | 最寄り駅 | 北陸鉄道石川線 野々市駅 徒歩2分 | |
小学校 | 館野小学校 | 引渡日 | 相談 |
中学校 | 布水中学校 | 取引態様 | 売主 |
都市計画 | 市街化区域 | 用途地域 | 近隣商業地域 |
設備 | 水道:公営 排水:下水 | ||
備考 | 弊社売主のため、仲介手数料0円! 道路幅員8.2m(市道)に面した角地。北側道路は狭あい道路設備予定です。 間口20mと広く、建築設計が立てやすいです。 【周辺環境】 ・北鉄石川線野々市駅 徒歩2分 ・ラ・ムー野々市北店 徒歩8分 ・館野小学校 徒歩10分 ・イオンタウン野々市 車5分 ※その他 飲食店や商業施設なども多く、生活環境が整ったエリアです! |
||
物件資料 |
物件種別 | 売土地 | ||
---|---|---|---|
敷地面積 | 264.26㎡(79.93坪) | ||
延床面積 | |||
その他 | 現況渡し | ||
構造 | |||
小学校 | 館野小学校 | ||
中学校 | 布水中学校 | ||
都市計画 | 市街化区域 | ||
接道状況 | 西側 北側 | ||
セットバック | |||
駐車台数 | 3台以上 | ||
最寄り駅 | 北陸鉄道石川線 野々市駅 徒歩2分 | ||
引渡日 | 相談 | ||
取引態様 | 売主 | ||
用途地域 | 近隣商業地域 | ||
設備 | 水道:公営 排水:下水 | ||
備考 | 弊社売主のため、仲介手数料0円! 道路幅員8.2m(市道)に面した角地。北側道路は狭あい道路設備予定です。 間口20mと広く、建築設計が立てやすいです。 【周辺環境】 ・北鉄石川線野々市駅 徒歩2分 ・ラ・ムー野々市北店 徒歩8分 ・館野小学校 徒歩10分 ・イオンタウン野々市 車5分 ※その他 飲食店や商業施設なども多く、生活環境が整ったエリアです! |
||
物件資料 |
![]() |
アクセスマップ
メールでお問い合わせ
この物件についてお問い合わせ、ご質問等ある方は下記フォームの必要項目にご入力いただき、
プライバシーポリシーをご確認の上、確認画面に進むボタンを押してください。
必須は必須項目です。
有限会社アクティス(以下、当社と称します)は、お客様、ご相談者様を始め当店に個人情報を提供されるすべての方(以下、ご本人と称します)の個人情報を適切に保護することが、個人情報取扱業者としての重要な社会責務であると認識しております。当社は、個人情報保護に関する法令およびその他の規範を遵守し、自主的なルールおよび体制を確立し、以下の個人情報保護を定めて個人情報保護の徹底に努めます。
(個人情報の収集、利用、提供)
それぞれの業務実態に応じた個人情報保護のための管理体制を確立すると共に、個人情報の収集、利用、提供において所定の規則に従い適切に取扱います。 個人情報は、業務上必要な範囲でのみ利用します。
個人情報を収集必要な範囲内で収集させていただきます。 個人情報は特定の事情がない限り、本人の承諾なく、業務委託先および提携先以外の第三者に開示、提供いたしません。
(個人情報の開示)
次の各号の場合には、お客様の事前の同意なく当店はお客様の個人情報を開示できるものとします。
1.警察や裁判所その他の政府機関からの召喚状、令状、命令等によって要求された場合
2.人の生命、身体又は財産の保護のために必要がある場合であって、お客様の同意を得ることが困難であるとき
(個人情報の適正管理)
個人情報は、最新の状態を確保し、個人情報への不正アクセス、紛失、破壊、改ざんおよび漏えい等の防止措置を講じます。 お客様の個人情報は、当店が適切な管理を行うとともに、漏えい、滅失、毀損の防止のために最大限の注意を払っております。
(個人情報の共有について)
当ウェブサイトから収集したお客様の個人情報は、お客様から事前に同意を経ることなく第三者に開示、提供、共有したりすることはありません。
(管理体制と法令遵守)
個人情報を取り扱うにあたり、個人情報保護に関する関係法令および店内規定を遵守するとともに、社員に対する教育と啓発を継続的に実施いたします。 本保護方針の内容は継続的に見直し、改ざんに努めます。
(ご質問やご提案について )
ご質問やご意見がありましたら、下記までお問い合わせください。
石川県白山市水島町345番地
有限会社アクティス
TEL: 076-259-1839 FAX: 076-259-1849